在今天看見明天
熱門: 台積電 兆豐金配息 股票抽籤 00929 航運股走勢

海警最新與熱門精選文章

熱搜關鍵字:海警共有125項結果
罕見!南韓公務員跳海叛逃慘遭北韓射殺 金正恩表達歉意
焦點新聞

罕見!南韓公務員跳海叛逃慘遭北韓射殺 金正恩表達歉意

南韓一名海洋水產部的公務員日前在延坪島附近海域執勤時,疑似跳海叛逃北韓後遭北韓槍殺並焚燒屍體,引起南韓譴責此暴行。對此,南韓青瓦臺表示,北韓最高領導人金正恩已就此事向南韓道歉。

日期:2020-09-25

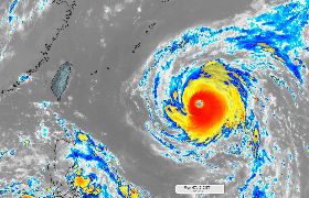
越晚雨越大!「米克拉」颱風生成 海陸警齊發
焦點新聞

越晚雨越大!「米克拉」颱風生成 海陸警齊發

(更新時間:上午11:20中央氣象局說,南海熱帶性低氣壓上午8時升級成今年第6號颱風「米克拉」,上午10時30分發布海上、陸上警報。「台灣颱風論壇|天氣特急」粉專表示,預計今天夜晚就會抵達西南海域,明天凌晨至清晨間穿越台灣海峽,颱風中心將掃過澎湖、金門附近,暴風圈掃過南部近海。 主要影響時間是今天夜晚至週二白天,其中又澎湖、金門首當其衝,其次為南部地區,注意大雨,沿海有強風,中部地區、台東山區陣雨,沿海風勢稍大,北部、東部則影響最小,以午後雷陣雨為主。)

日期:2020-08-10

哈格比轉為中颱 暴風圈威脅北台灣
焦點新聞

哈格比轉為中颱 暴風圈威脅北台灣

氣象局今(3)日下午表示,哈格比颱風已在17時30分增加為中度颱風,中心目前在基隆北北東方海面,向北北西移動,其暴風圈已進入台灣北部海面並構成威脅。

日期:2020-08-03

美國智庫模擬中共佔領台灣的南海領土
政治社會

美國智庫模擬中共佔領台灣的南海領土

今年二月,位於美國華盛頓特區的民間智庫— 笹川和平基金會(The Sasakawa Peace Foundation)辦了閉門的兵棋推演,代號為Pacific Trident III。該桌上演習 (Table Top Exercise)參與團隊包含前美、日、韓、台的官員,模擬印太地區發生爭端時的危機處理,包含中國解放軍佔領東沙群島及太平島。

日期:2020-07-20

 颱風動態》輕颱「黃蜂」不斷逼近 氣象局上午11:30發布海警
生活消費

颱風動態》輕颱「黃蜂」不斷逼近 氣象局上午11:30發布海警

輕颱「黃蜂」不斷逼近巴士海峽,中央氣象局上午11:30發布海上颱風警報,另外,受到颱風外圍環流影響,迎風面的花東地區及恆春半島今(15)日有局部短暫陣雨,西半部地區午後將有局部大雨發生的機率。

日期:2020-05-16

解放軍步步逼近,要如何應對?
政治社會

解放軍步步逼近,要如何應對?

即便武漢肺炎疫情在中國境內持續延燒,解放軍卻大動作在台海周邊進行軍事演習。而這些行為被外界視為中國政府想要藉由全球疫情延燒來改寫歷史的小動作。自從蔡英文總統上任以及武漢肺炎爆發以來,解放軍海軍和空軍在台灣周邊地區舉行高達10次軍演和過境。其中在 2月10日和3月16日時,解放軍戰機還超越台海中線,迫使我國空軍派遣戰機攔截。2 架解放軍殲11戰機更是在3月31日飛入台灣領空,總統蔡英文隨後表示,未來對於中共的挑釁會在「第一時間強勢驅離」。

日期:2020-05-15

當隔離變成被監禁、自主通報卻被匿名罵「武漢狗」  數百萬武漢人經歷了什麼?
國際總經

當隔離變成被監禁、自主通報卻被匿名罵「武漢狗」 數百萬武漢人經歷了什麼?

<編按>《今周刊》為您精選《紐約時報》最具價值的全球時事,人文、財經、科技、進步的新聞報導,給您最快速、最前瞻的國際視野。

日期:2020-02-05

王立強共諜案》台資訊戰專家提9觀察 「這點」最需釋疑
政治社會

王立強共諜案》台資訊戰專家提9觀察 「這點」最需釋疑

自稱是中國間諜的男子王立強(Wang Liqiang,化名),日前向澳洲政府尋求政治庇護,並接受當地媒體專訪,稱自己曾於香港和台灣進行滲透,更直言北京當局企圖影響台灣選舉。對此,研究中共對台資訊戰的專家、台北大學犯罪學研究所助理教授沈伯洋在看完王立強的受訪影片後,提出9項觀察。

日期:2019-11-26

中颱米塔「增強變胖」 專家彭啟明:狂風暴雨越晚越有感
生活消費

中颱米塔「增強變胖」 專家彭啟明:狂風暴雨越晚越有感

中颱米塔不斷增強變胖,天氣風險管理公司總經理彭啟明表示,北部風雨將在午後明顯增強,晚間恐有「強風暴雨」;根據氣象局路徑推估,暴風圈估傍晚將觸陸,可能要到明天才會脫離暴風圈,並解除陸警。

日期:2019-09-30

米塔颱風海警發布 氣象局不排除最快傍晚發布陸警
生活消費

米塔颱風海警發布 氣象局不排除最快傍晚發布陸警

今年第18號輕度颱風米塔(MITAG)昨(28)日生成,中央氣象局今(29)早8時30分發布海上警報,不排除今日傍晚將發布陸上警報。

日期:2019-09-29